Wapiti Talk | Elk Hunting Forum | Elk Hunting Tips
 

Merry Christmas

Moderators: Swede, Tigger, Lefty, Indian Summer, WapitiTalk1

Merry Christmas

Postby Swede » 12 23, 2018 •  [Post 1]

Here is wishing all you that follow along on W.T. a very Merry Christmas. May your 2019 year be blessed. I hope all of you desiring to shoot a monster bull or buck next hunting season have your wish come true. Just remember to share some pictures.
Swede
Wapiti Hunting - Tree Stand Tactics
 
Posts: 10644
Joined: 06 16, 2012

Re: Merry Christmas

Postby Elkhntr08 » 12 24, 2018 •  [Post 2]

Merry Christmas to you and your family.
We had the kids and grands over yesterday, so the stress is over for the wife and I. She stresses and I worry about her.
Elkhntr08
Rank: Herd Bull
 
Posts: 416
Joined: 12 19, 2015

Re: Merry Christmas

Postby Lefty » 12 24, 2018 •  [Post 3]

Merry Christmas.
I had the pics and Christmas letter ready. But hadn't addressed the cards.
Kinda sad reality. Two of my buddies died this year.
Otherwise our house has been a joy with our daughters (age 24-27) and granddaughter coming over :D
User avatar
Lefty
Wapiti Hunting - Strategy and Tactics
 
Posts: 7564
Joined: 06 25, 2012
Location: Pocatello Idaho
First Name: Dennis
Last Name: H

Re: Merry Christmas

Postby Lsb » 12 24, 2018 •  [Post 4]

Merry Christmas all. All week with the inlaws..... Chevy Chase had it easy. :lol:
Lsb
Rank: Herd Bull
 
Posts: 436
Joined: 05 03, 2018
Location: Montana

Re: Merry Christmas

Postby WapitiTalk1 » 12 24, 2018 •  [Post 5]

Merry Xmas to all of our Wapiti Talk members! A quiet one at our ranch this year. Just wife, myself, 5 pups, and a smoked prime rib tomorrow. May go in for a movie and snack this afternoon, not sure.
User avatar
WapitiTalk1
 
Posts: 9074
Joined: 06 10, 2012
Location: WA State
First Name: RJ

Re: Merry Christmas

Postby Elkduds » 12 24, 2018 •  [Post 6]

A very Merry Christmas wish to the fine folks @ WT. Tidings of comfort and joy :!:
User avatar
Elkduds
Rank: An Elk Nut
 
Posts: 1536
Joined: 09 29, 2013
Location: Colorado Springs
First Name: Mark
Last Name: Scott

Re: Merry Christmas

Postby >>>---WW----> » 12 24, 2018 •  [Post 7]

https://www.youtube.com/watch?v=tyyPQBOVBY0 Christmas greetings from snowy Colorado.
User avatar
>>>---WW---->
Wapiti Hunting - Strategy and Tactics
 
Posts: 2502
Joined: 05 27, 2012

Re: Merry Christmas

Postby Fridaythe13th » 12 24, 2018 •  [Post 8]

Busy but great time of the year. Everyone have a Merry Christmas. Drive safe and stay healthy.
User avatar
Fridaythe13th
Rank: An Elk Nut
 
Posts: 1014
Joined: 10 24, 2013
Location: Minnesota
First Name: Eric
Last Name: S

Re: Merry Christmas

Postby Old school » 12 24, 2018 •  [Post 9]

Going to enjoy the day today and tomorrow with family and friends. Merry Christmas to all here at the great WapitiTalk forum!!

WW - thanks for sharing that. Some of those mountains looked awful familiar to where I hunted in GMU 70 a few years back with my family.

--Mitch

John 1:14 "And the Word was made flesh, and dwelt among us, (and we beheld his glory, the glory as of the only begotten of the Father,) full of grace and truth.
User avatar
Old school
Rank: An Elk Nut
 
Posts: 559
Joined: 06 20, 2015
Location: MO

Re: Merry Christmas

Postby Tigger » 12 24, 2018 •  [Post 10]

Merry Christmas everyone! Santa is almost at our house. The kiddos are tucked in bed and asleep.
User avatar
Tigger
Rank: An Elk Nut
 
Posts: 2647
Joined: 01 12, 2015
Location: Minnesota

Re: Merry Christmas

Postby Elkhunttoo » 12 24, 2018 •  [Post 11]

Merry Christmas to all!!!
Elkhunttoo
Rank: An Elk Nut
 
Posts: 1442
Joined: 05 23, 2016

Re: Merry Christmas

Postby Swede » 12 25, 2018 •  [Post 12]

We had our family Christmas Bible story last night.
I am sharing the reminder that wise men still seek Him.
Today it is fun, food and family here in the Swede home.
Merry Christmas
Swede
Wapiti Hunting - Tree Stand Tactics
 
Posts: 10644
Joined: 06 16, 2012

Re: Merry Christmas

Postby Deanmac » 12 25, 2018 •  [Post 13]

hope everyone has a great holiday season
Deanmac
Rank: Satellite Bull
 
Posts: 394
Joined: 11 02, 2015
Location: Bremen GA

Re: Merry Christmas

Postby ElkNut1 » 12 25, 2018 •  [Post 14]

Merry Christmas everyone & have a Happy New Years!

ElkNut/Paul
ElkNut1
ElkNut/Paul
 
Posts: 4675
Joined: 05 11, 2012
Location: Idaho

Re: Merry Christmas

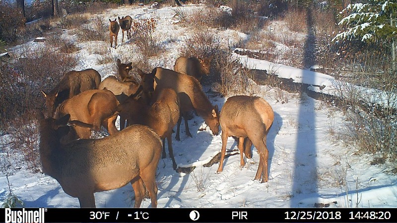
Postby wawhitey » 12 26, 2018 •  [Post 15]

A belated merry christmas. Heres some christmas day elk.
Attachments
HUNT0273-800x449.JPG
HUNT0273-800x449.JPG (165.85 KiB) Viewed 7081 times
HUNT0274-800x449.JPG
HUNT0274-800x449.JPG (177.01 KiB) Viewed 7081 times
Real eyes realize real lies
User avatar
wawhitey
Rank: An Elk Nut
 
Posts: 3694
Joined: 02 21, 2013
Location: Stevens co, WA