Wapiti Talk | Elk Hunting Forum | Elk Hunting Tips
 

Another pregnant wolf

Moderators: Swede, Tigger, Lefty, Indian Summer, WapitiTalk1

Another pregnant wolf

Postby wawhitey » 08 16, 2017 •  [Post 1]

Second time ive got a pregnant wolf on cam. Different areas. You can see the grey one here is looking ready to burst. That combined with getting wolves on that cam 3 times in a month leads me to believe a den must be very close by.
Attachments
HUNT0213 (3)-800x449.JPG
HUNT0213 (3)-800x449.JPG (219.87 KiB) Viewed 6115 times
HUNT0192 (5)-800x449.JPG
HUNT0192 (5)-800x449.JPG (215.33 KiB) Viewed 6115 times
Real eyes realize real lies
User avatar
wawhitey
Rank: An Elk Nut
 
Posts: 3694
Joined: 02 21, 2013
Location: Stevens co, WA

Re: Another pregnant wolf

Postby Lefty » 08 19, 2017 •  [Post 2]

Maybe its a tumor and will die this week


What ever it is it doesnt look healthy, Hope that isnt Tweety in there
User avatar
Lefty
Wapiti Hunting - Strategy and Tactics
 
Posts: 7584
Joined: 06 25, 2012
Location: Pocatello Idaho
First Name: Dennis
Last Name: H

Re: Another pregnant wolf

Postby Lefty » 08 19, 2017 •  [Post 3]

I was looking closer at the pic,..is the right rear leg missing?
Ive trapped three huge red fox (wild) that were over 17 lbs. One in Kittson County Mn, One in the Pine Ridge Nebraska breaks , and a three legged one that a farmer saw get caught in the hay mower.
User avatar
Lefty
Wapiti Hunting - Strategy and Tactics
 
Posts: 7584
Joined: 06 25, 2012
Location: Pocatello Idaho
First Name: Dennis
Last Name: H

Re: Another pregnant wolf

Postby wawhitey » 03 28, 2018 •  [Post 4]

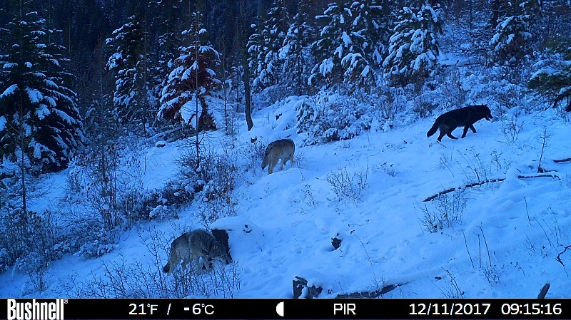
Looks like some pups made it.
Attachments
HUNT0023-800x449.JPG
HUNT0023-800x449.JPG (177.38 KiB) Viewed 5965 times
HUNT0024-800x449.JPG
HUNT0024-800x449.JPG (181.1 KiB) Viewed 5965 times
HUNT0025-800x449.JPG
HUNT0025-800x449.JPG (178.08 KiB) Viewed 5965 times
Real eyes realize real lies
User avatar
wawhitey
Rank: An Elk Nut
 
Posts: 3694
Joined: 02 21, 2013
Location: Stevens co, WA

Re: Another pregnant wolf

Postby wawhitey » 03 28, 2018 •  [Post 5]

......
Attachments
HUNT0026-800x449.JPG
HUNT0026-800x449.JPG (175.04 KiB) Viewed 5965 times
HUNT0027-800x449.JPG
HUNT0027-800x449.JPG (181.41 KiB) Viewed 5965 times
HUNT0028-800x449.JPG
HUNT0028-800x449.JPG (176.49 KiB) Viewed 5965 times
Real eyes realize real lies
User avatar
wawhitey
Rank: An Elk Nut
 
Posts: 3694
Joined: 02 21, 2013
Location: Stevens co, WA

Re: Another pregnant wolf

Postby wawhitey » 03 28, 2018 •  [Post 6]

.....
Attachments
HUNT0029-800x449.JPG
HUNT0029-800x449.JPG (175.88 KiB) Viewed 5965 times
HUNT0030-800x449.JPG
HUNT0030-800x449.JPG (177.12 KiB) Viewed 5965 times
Real eyes realize real lies
User avatar
wawhitey
Rank: An Elk Nut
 
Posts: 3694
Joined: 02 21, 2013
Location: Stevens co, WA

Re: Another pregnant wolf

Postby wawhitey » 03 28, 2018 •  [Post 7]

So my hike in to check the cam was 5+ miles, and i hiked a different route out. All told, 5+ hours of coveribg ground on that mountain today. And man, the entire mtn is COVERED in wolf tracks! I spend a lot of time in wolf territory, ive run into them, had them howling around me, gotten them on cam doing wolf things, found countless tracks, piles of scat, kills etc. But ive never seen anything like this. It was crazy. So much wolf sign... was almost creepy. Heres a couple crappy pics of one, with a big store bought hard boiled egg sitting in heel pad for size comparison, and a crappy pic of my hand on a track.
Attachments
20180328_102057-800x600.jpg
20180328_102057-800x600.jpg (87.41 KiB) Viewed 5955 times
20180328_102031-800x600.jpg
20180328_102031-800x600.jpg (119.44 KiB) Viewed 5955 times
Real eyes realize real lies
User avatar
wawhitey
Rank: An Elk Nut
 
Posts: 3694
Joined: 02 21, 2013
Location: Stevens co, WA

Re: Another pregnant wolf

Postby wawhitey » 03 28, 2018 •  [Post 8]

Looking on the bright side of things (im such an optimist) maybe ill find a cool deadhead or two up there after the snow melts.
Attachments
HUNT0031-800x449.JPG
HUNT0031-800x449.JPG (130.89 KiB) Viewed 5952 times
HUNT0014-800x449.JPG
HUNT0014-800x449.JPG (194.47 KiB) Viewed 5952 times
HUNT0009-800x449.JPG
HUNT0009-800x449.JPG (184.06 KiB) Viewed 5952 times
Real eyes realize real lies
User avatar
wawhitey
Rank: An Elk Nut
 
Posts: 3694
Joined: 02 21, 2013
Location: Stevens co, WA


cron